Bota

Mbi 735 mijë njerëz janë evakuuar në Kubë për shkak të uraganit Melissa

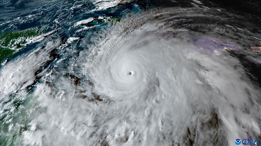
Uragani Melissa mund të shkaktojë kushte stuhie "shkatërruese" në Xhamajkë dhe Kubë në ditët në vijim, si dhe reshje të rrëmbyeshme shiu, përmbytje dhe rrëshqitje toke në vende të tjera në rajonin e Karaibeve

Bekir Aydoğan  | 29.10.2025 - Përdıtësım : 29.10.2025
Mbi 735 mijë njerëz janë evakuuar në Kubë për shkak të uraganit Melissa

Ankara

Presidenti kubanez, Miguel Diaz Canel, njoftoi se më shumë se 735.000 njerëz u evakuuan në vend për shkak të uraganit Melissa, transmeton Anadolu.

Canel ndau një postim në lidhje me uraganin në platformën e mediave sociale të kompanisë X me seli në SHBA.

Ai njoftoi se më shumë se 735.000 njerëz u evakuuan në vend për shkak të uraganit Melissa. "Do të jetë një natë shumë e vështirë për të gjithë Kubën, por ne do ta tejkalojmë", tha ai.

Nga ana tjetër, Qendra Kombëtare e Uraganeve (NHC) e SHBA-së njoftoi se uragani arriti në bregun juglindor të Kubës në nivelin e Kategorisë 3.

Në një deklaratë të bërë nga NHC më 27 tetor, u tha se intensiteti i uraganit, me shpejtësi që arrinte 260 kilometra në orë, ishte rritur në "Kategorinë 5", që do të thotë niveli më i rrezikshëm.

Uragani, i cili u raportua se po lëvizte drejt perëndimit dhe 205 kilometra në jugperëndim të kryeqytetit të Xhamajkës, Kingston, pritet të arrijë në Xhamajkë dhe Kubën juglindore.

Deklarata vuri në dukje se uragani Melissa mund të shkaktojë kushte stuhie "shkatërruese" në Xhamajka dhe Kubë në ditët në vijim, si dhe reshje të rrëmbyeshme shiu, përmbytje dhe rrëshqitje toke në vende të tjera në rajonin e Karaibeve.

Në ueb-faqen e Anadolu Agency mbi sistemin rrjedhës të lajmeve të AA një pjesë e lajmeve të ofruara ndaj abonentëve publikohen duke u përmbledhur. Për abonim ju lutemi na kontaktoni.
Tema relevante
Bu haberi paylaşın