India evakuon 50 mijë njerëz për shkak të stuhisë që po afrohet
Për shkak të stuhisë, në zonat bregdetare të Gjirit deri të premten në mbrëmje priten shira të rrëmbyeshëm ndërsa peshkatarët janë paralajmëruar të "mos lundrojnë në det"
Ankara
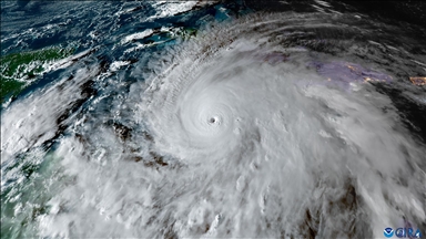
India ka evakuuar 50 mijë njerëz dhe i ka vendosur në kampe të përkohshme për shkak të stuhisë "Montha", e cila po i afrohet vendit nga Gjiri i Bengalit dhe pritet të arrijë nesër në bregdet, transmeton Anadolu.
Sipas mediave lokale, Departamenti Meteorologjik i Indisë ka raportuar se stuhia "Montha", që po afrohet nga Gjiri i Bengalit do të arrijë në bregdet nesër në mbrëmje.
Për shkak të stuhisë, në zonat bregdetare të Gjirit deri të premten në mbrëmje priten shira të rrëmbyeshëm ndërsa peshkatarët janë paralajmëruar të "mos lundrojnë në det".
Autoritetet kanë evakuuar 50 mijë njerëz dhe i kanë vendosur ata në kampe të përkohshme.
Stuhia "Montha" pritet të prekë rreth 4 milionë njerëz.
Në ueb-faqen e Anadolu Agency mbi sistemin rrjedhës të lajmeve të AA një pjesë e lajmeve të ofruara ndaj abonentëve publikohen duke u përmbledhur. Për abonim ju lutemi na kontaktoni.
