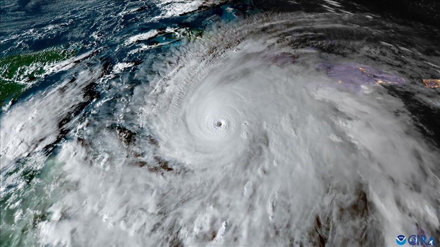
Hurricane Melissa hits Jamaica with winds estimated at 185 mph
Residents advised to stay indoors as Category 5 storm poses serious threat to life
ISTANBUL
Hurricane Melissa made landfall Tuesday in southwestern Jamaica near New Hope around 1 pm ET (1700GMT) with estimated maximum sustained winds of 185 mph (295 kph).
The situation is deemed extremely hazardous and poses a serious threat to life. The Category 5 storm is described as the most powerful ever to threaten Jamaica.
Residents are being advised to stay indoors.
Jamaica’s military and fire services will carry out search and rescue operations once Melissa passes over the island, according to Desmond McKenzie, deputy chairman of the Disaster Risk Management Council.
"We have equipment that are pre-positioned.
"Once the request comes in, the team will be ready to go. We have boats, helicopters … you name it," McKenzie told reporters, according to ABC News in the US.
Anadolu Agency website contains only a portion of the news stories offered to subscribers in the AA News Broadcasting System (HAS), and in summarized form. Please contact us for subscription options.
