Se espera que 2017 sea uno de los tres años más calurosos registrados después de 2015 y 2016, advirtió el lunes la Organización Meteorológica Mundial (OMM).
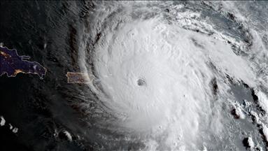
Los eventos de "alto impacto", que incluyen olas de calor, sequías, huracanes e inundaciones, podrían empeorar a medida que el planeta se calienta, dijo el organismo al mismo tiempo que en Bonn, Alemania, inició una conferencia de la ONU sobre el cambio climático.
"Es muy poco probable" que 2017 sea más caluroso que el 2016, señalo Omar Baddour, científico senior de la organización, en una conferencia de prensa en Ginebra el lunes.
"En este momento no tenemos un factor como fenómeno de El Niño que pueda aumentar la temperatura más de lo que estamos observando actualmente. Por lo tanto, es muy probable que 2017 sea el segundo o el tercer año más cálido", agregó Baddour.
El año pasado fue el más caluroso de todos los tiempos, con una temperatura promedio de 14.83º C y se espera que 2017 sea de 14.77º C, dijo Baddour.
La temperatura promedio mundial en 2016 fue aproximadamente 1.1º C más alta que la era preindustrial.
"Los indicadores a largo plazo del cambio climático, como el aumento de las concentraciones de dióxido de carbono, el aumento del nivel del mar y la acidificación de los océanos, no han disminuido. La capa de hielo marino en el Ártico sigue por debajo del promedio y la extensión de hielo antártico, que antes permanecía estable, está en un mínimo histórico o cerca de este", dijo la OMM en un comunicado.
Según los datos de la OMM, la temperatura global promedio de enero a septiembre de 2017 fue aproximadamente 1.1º C (33,9 ° F) por encima de la era preindustrial.
"Como resultado de un poderoso fenómeno de El Niño, 2016 es probable que siga siendo el año más cálido registrado, con 2017 y 2015 en segundo y tercer lugar. 2013-2017 será el período de cinco años más cálido jamás registrado", agregó la OMM.
El Secretario General de la OMM, Petteri Taalas, dijo: "Hemos sido testigos de un clima extraordinario, que incluye temperaturas que superan los 50º C en Asia, huracanes en una rápida sucesión en el Caribe, otros que desde el Atlántico llegan hasta Irlanda, inundaciones monzónicas que afectan a millones de personas y una implacable sequía en el este de África".
En todo el mundo, 23.5 millones de personas fueron desplazadas durante 2016 por desastres relacionados con el clima.
Partes del sur de Europa, el norte de África, partes del este y sur de África y la parte asiática de Rusia experimentaron temperaturas récord.
*Maria Paula Triviño contribuyó con la redacción de esta nota.
news_share_descriptionsubscription_contact


